Looking at your boxwood hedge, you notice something’s wrong, but what exactly?
Your once-lush boxwood plants are showing mysterious bare patches and strange webbing, leaving you wondering if pests have invaded your garden.
Box tree caterpillars are silent destroyers that can strip entire hedges bare within weeks. These green invaders with distinctive black stripes work fast, often going unnoticed until significant damage occurs.
Early detection saves your plants and your investment. When you spot the warning signs quickly, simple treatments can stop these pests before they destroy months of careful garden work.
This guide shows you exactly what to look for, from the first subtle clues to advanced infestation signs. You’ll learn to identify these destructive caterpillars before they turn your beautiful boxwood into bare sticks.
What Is the Box Tree Caterpillar?
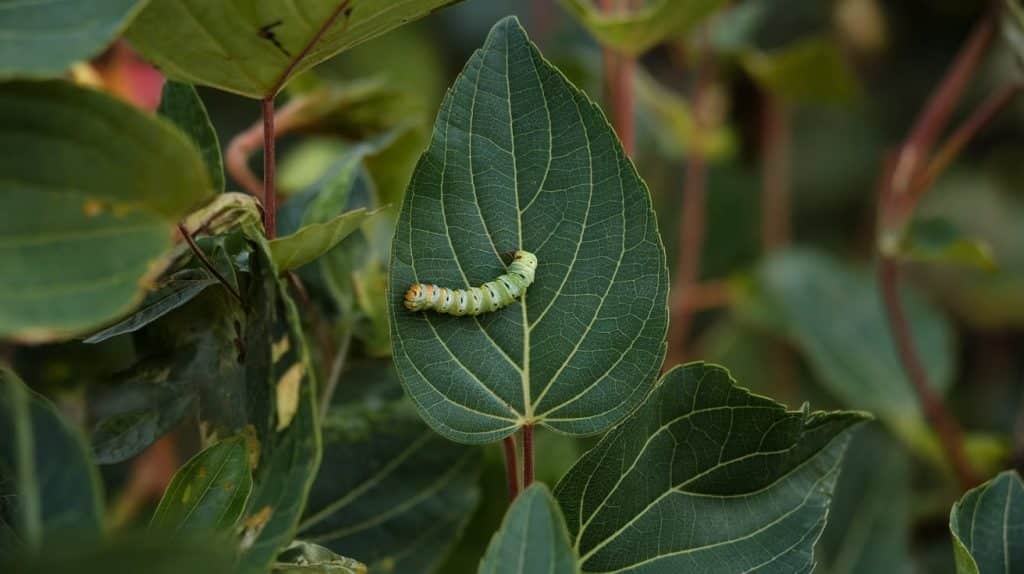
The box tree caterpillar is a destructive pest that feeds exclusively on boxwood plants. This green caterpillar with black stripes and spots poses a serious threat to garden hedges and ornamental boxwood.
Key characteristics include
- Appearance: Bright green body with thick black stripes and distinctive black spots
- Size: Grows up to 4cm in length when fully developed
- Feeding habits: Strips leaves completely, leaving only bare branches
- Life cycle: Goes through multiple generations per year in warm climates
- Origin: Native to East Asia but now spreading across Europe and North America
The caterpillar can completely defoliate healthy boxwood shrubs within weeks. Early identification helps prevent widespread damage to your garden’s boxwood plants.
|
The Four Main Stages of Caterpillar
|
Comprehending this rapid reproduction cycle explains why box tree caterpillars can cause such extensive damage in a short time.
Now that you know how these pests develop, let’s examine the warning signs that indicate your boxwood plants are under attack.
Signs of Infestation & Impact on Box Plants

Before we discuss anything else, letโs first understand what an “infestation” means. It refers to the invasion of insects into a place, such as a home, or their attack on a plant.
Recognizing box tree caterpillar damage early is crucial for protecting your boxwood plants. These pests leave distinct signs that help identify infestations before severe damage occurs.
Visual signs to watch for
- Stripped leaves: Caterpillars eat leaves completely, leaving only bare stems and branches exposed
- Webbing presence: Fine silk webs appear throughout affected boxwood shrubs, especially in branch crotches
- Green droppings: Small pellet-like excrement accumulates around the base of infested plants
- Yellowing foliage: Leaves turn yellow and brown before being completely consumed by feeding caterpillars
- Defoliation patterns: Damage typically starts from the inside of the plant and works outward
- Stunted growth: Severely affected boxwood plants stop producing new shoots and appear weak
Impact on plant health: Repeated infestations weaken boxwood plants significantly. Complete defoliation can kill young or stressed plants within one growing season. Mature plants may survive but require years to recover their original shape and density.
Knowing these warning signs helps you act quickly when infestations begin. The next step is implementing effective control strategies that protect your boxwood plants while maintaining a healthy garden environment.
WashingโUp Liquid in Box Caterpillar IPM Strategy
Washing-up liquid works best when used as part of a complete pest management plan, known as Integrated Pest Management (IPM).
It combines multiple control methods to create long-term protection for your boxwood plants.
Building an Effective IPM Framework
Start by monitoring your boxwood plants weekly during the growing season. Check for early signs like small caterpillars or fresh webbing.
Use washing-up liquid spray as your first response when you spot initial infestations. This gentle method won’t harm beneficial insects that help control pests naturally.
Combine washing-up liquid treatments with physical barriers during peak moth activity periods. Install pheromone traps around your garden to catch adult moths before they lay eggs.
Time your soap spray applications to target newly hatched caterpillars when they’re most vulnerable.
Creating Sustainable Control Practices
Rotate between washing-up liquid spray and other organic methods like neem oil or vinegar solutions. This prevents caterpillars from building resistance to any single treatment.
Maintain healthy soil conditions and proper plant spacing to keep boxwood plants strong enough to withstand minor pest pressure.
Document your treatment results to refine your approach each season. Successful IPM strategies adapt based on what works best in your specific garden conditions.
While washing-up liquid forms the foundation of your pest management plan, combining it with additional natural methods creates even stronger protection for your boxwood plants.
Other Effective Control Methods
Beyond chemical treatments, several natural and mechanical methods can help control box tree caterpillar populations while protecting your garden environment.
Manual removal techniques:
- Hand picking: Remove visible caterpillars by hand during early morning or evening hours when they’re most active
- Pruning infested areas: Cut away heavily damaged branches with webbing and dispose of them in sealed bags
- High-pressure water spray: Use a garden hose to dislodge caterpillars from plants, making them vulnerable to predators
Natural control solutions:
- Beneficial insects: Encourage birds, spiders, and parasitic wasps that naturally feed on box tree caterpillars
- Neem oil treatment: Apply organic neem oil spray weekly to disrupt caterpillar feeding and development
- Garlic and chili spray: Blend 4 garlic cloves with 2 hot chilies in water. Strain and spray on affected plants to repel caterpillars
- Diatomaceous earth: Dust food-grade diatomaceous earth around the plant base. This natural powder damages caterpillar skin when they crawl through it
These methods work best when combined. Regular monitoring and early intervention prevent severe infestations from establishing in your boxwood plants.
Conclusion
Box tree caterpillars can destroy your beautiful boxwood plants, but you now have the tools to fight back effectively.
From identifying the early warning signs like webbing and green droppings to implementing natural control methods, I’ve shared proven strategies that work.
Remember to check your boxwood plants weekly during growing season.
Use washing-up liquid spray as your first line of defense, then combine it with manual removal and natural solutions like vinegar or neem oil for maximum protection.
The key is acting fast when you spot the first signs of trouble. Don’t wait until your plants are completely stripped bare.
What’s your experience with box tree caterpillars? Have you tried any of these methods in your garden?
Share your results in the comments below your insights could help fellow gardeners save their boxwood plants too.
Check out more posts on plant care and growing tips.
Frequently Asked Question
Will Vinegar Kill Caterpillars?
Yes, vinegar can kill caterpillars on contact due to its acidity. However, it may also harm plants and beneficial insects, so use sparingly and target application carefully.
Is Washing-Up Liquid Safe for Plants?
Diluted washing-up liquid is generally safe for plants when used sparingly. Use mild, unscented soap (1-2 teaspoons per quart water) and rinse plants afterward.
When Is the Best Time to Spray for Box Caterpillars?
Spray for box caterpillars in early morning or late evening when they’re most active. Target young caterpillars in late spring/early summer for best control results.
